Bought with Irma Castaneda
$2,000
$6,999
71.4%For more information regarding the value of a property, please contact us for a free consultation.
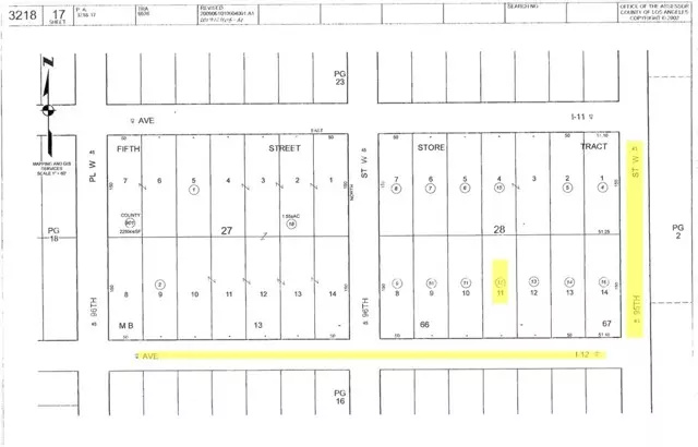
0 W Avenue I12 Vic 95 STW Del Sur, CA 93536
7,581 Sqft Lot
Key Details
Sold Price $2,000
Property Type Vacant Land
Sub Type Other Residential Land
Listing Status Sold
Purchase Type For Sale
MLS Listing ID CRDW25094175
Sold Date 09/04/25
Lot Size 7,581 Sqft
Property Sub-Type Other Residential Land
Source California Regional MLS
Property Description
APN 3218017012 Lot Area 7579 SQFT latitude 34,69296 Longitude -118.29878. Buyer(s) is responsible for conducting all necessary investigations to their satisfaction including verifying zoning, soil conditions, permitted uses, legal access, parcel size, buildable space, services with the appropriate city or County. Buyer is also advised to consult with the department of fish and wildlife regarding any protected plants, trees, or species. Property lines depicted in photos are estimated. Buyer to verify.
Location
State CA
County Los Angeles
Area Dsur - Del Sur
Zoning D0
Exterior
View None
Others
Tax ID 3218017012
Read Less
Want to know what your home might be worth? Contact us for a FREE valuation!

Our team is ready to help you sell your home for the highest possible price ASAP

© 2025 MLSListings Inc. All rights reserved.


